Aktive Vulkane im Polarmeer entdeckt

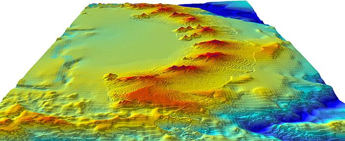
«Es gibt so viel, das wir über die vulkanische Aktivität unter Wasser noch nicht verstehen. So ist es wahrscheinlich, dass diese Vulkane ständig ausbrechen und dann wieder kollabieren», sagte Philip Lead vom British Antarktis Survey. Die südlichen Sandwich-Inseln liegen nahe einer Nahtstelle zwischen drei Platten der Erdkruste im Südatlantik. Entlang dieses Inselbogens kann heißes Magma aus der Tiefe an die Oberfläche dringen und so Vulkane entstehen. Diese vulkanische Aktivität hat eine Expedition des British Antarktis Survey nun erstmals von Bord des Forschungsschiffes «RRS James Clark Ross» aus untersucht.

Für die Kartierung setzten die Forscher ein Fächerecholot ein. Dieses sendet schnell nacheinander bis zu hundert leicht aufgefächerte Ultraschallstrahlen Richtung Meeresboden. Dort werden die Schallwellen je nach Beschaffenheit und Oberflächenform unterschiedlich reflektiert und anschließend von Sensoren am Schiffsboden wieder aufgefangen. Aus den Echolotdaten konstruierten die Wissenschaftler ein digitales Geländemodell der Unterwasserlandschaft.
